We're proud to announce the start of the first multi-use development in Fuquay-Varina! The development appropriately named Bengal Towne Centre, after the Fuquay-Varina High School’s mascot, will feature 53 townhomes plus Residential Condos above several commercial units. Apartments are being built directly next to the site with expected completion 2019.
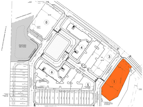
There are 8 parcels available for development, the parcels are located in the heart of this major mixed-use development with plans to feature coffee shops, restaurants, entertainment & recreational amenities all within walking distance for its residents and visitors alike. The Bengal Towne Centre is located on Judd Parkway close to Highway 55, 401 and a short distance to the future 540 extension.
The master plan for Bengal Towne Centre is beginning to unfold. Block by block, we’re building an integrated community like none you have ever seen before. Visit us online for updates and watch as we grow. We’re the community of tomorrow, starting today.

0.761 AC / 33,177 SQ FT
Dimensions: 96x267x75x87x50x293
Office/Commercial/Business

0.91 AC / 39,493 SQ FT
Dimensions: 163x234x158x248
Hotel or Office, Commercial/Restaurant, and Business - End User’s discretion

1.273 AC / 55,489 SQ FT
Dimensions: 331x248x144x138x176
3 to 4 stories with 23,000 SQ FT Retail and Residential Units on Levels 2, 3 & 4

0.472 AC / 20,548 SQ FT
Dimensions: 152x190x65x106
Office, Commercial, Business and Residential - End User’s discretion

1.43 AC / 62,281 SQ FT
Dimensions: 182x168x90x133x106x65x285
3 to 4 stories, 20,000 SQ FT Retail on Main Level, Residential Units above

1.15 AC / 50,067 SQ FT
Dimensions: 162x316x126x52x274
Hotel or Office, Commercial/Restaurant, and Business - End User’s discretion